D.C. takes major step in Dave Thomas Circle intersection safety redesign
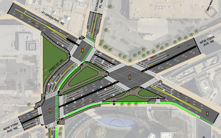
The District DOT (DDOT) in Washington D.C. this week achieved a major milestone in making one of the District’s most notorious intersections—dubbed the “Dave Thomas Circle”—safer for pedestrians, bicyclists, and motorists.
The title for the property at the center of the intersection of New York Avenue, NE, Florida Avenue, NE, and First Street, NE—currently occupied by a Wendy’s restaurant—was transferred to the District by eminent domain.
DDOT is redesigning the Dave Thomas Circle, also called the “Virtual Circle,” to make it safer for all road users in support of Mayor Muriel Bowser’s Vision Zero initiative to eliminate serious injuries and fatalities on the District’s roadways.
“This is an important milestone in the Bowser Administration’s efforts to make this corridor safer for the thousands of drivers, pedestrians, and cyclists who use it every day,” Interim DDOT Director Everett Lott said in a statement. “Over the coming months, we look forward to working with key community stakeholders to complete this process and the design of the new intersection at Florida Avenue and New York Avenue.”
Once complete, the redesigned intersection will:
- Realign and add two-way traffic to First Street, NE
- Restore two-way traffic on Florida Avenue, NE
- Add protected bicycle lanes
- Make other improvements benefitting safety and legibility for all modes of travel
- Create three new public park spaces
The public space design process is a collaboration of local, District, and federal partners. DDOT partnered with the NoMa Business Improvement District (BID) and NoMa Parks Foundation, which hired a landscape architecture firm to design thoughtful, innovative public spaces. The Foundation led community outreach in May 2020, including a virtual public meeting, to seek feedback on public space concepts. The concept design was approved in 2020 to move forward by three federal entities—the U.S. Commission on Fine Arts, the National Capital Planning Commission, and the State Historic Preservation Office. The public space design will be incorporated into the design of the final intersection.
DDOT will complete the final design plans in Summer 2021 with plans to begin construction in the first quarter of 2022.
---------
SOURCE: District DOT (Washington D.C.)
